Rovnou na obsah Rovnou na menu
Menu
Město Nové Strašecí
Nové Strašecí

Dobrý den, jsem chatbot a jsem tu pro vás! Klikněte na ikonu a napište mi dotaz.

Informace o kácení stromů

.

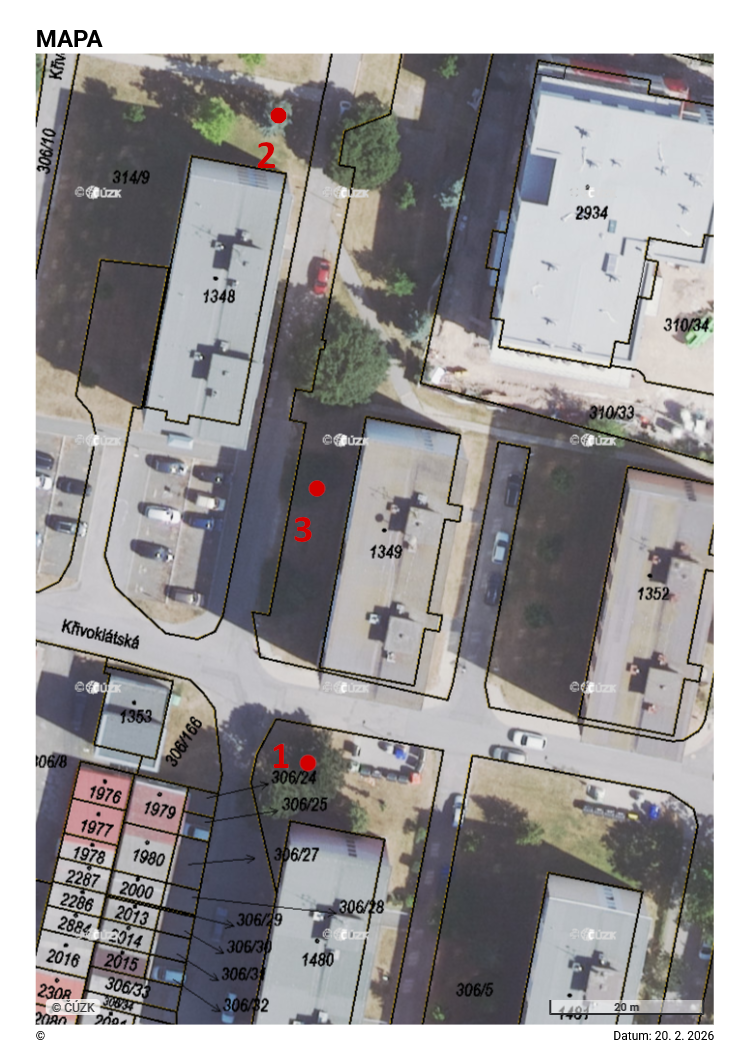
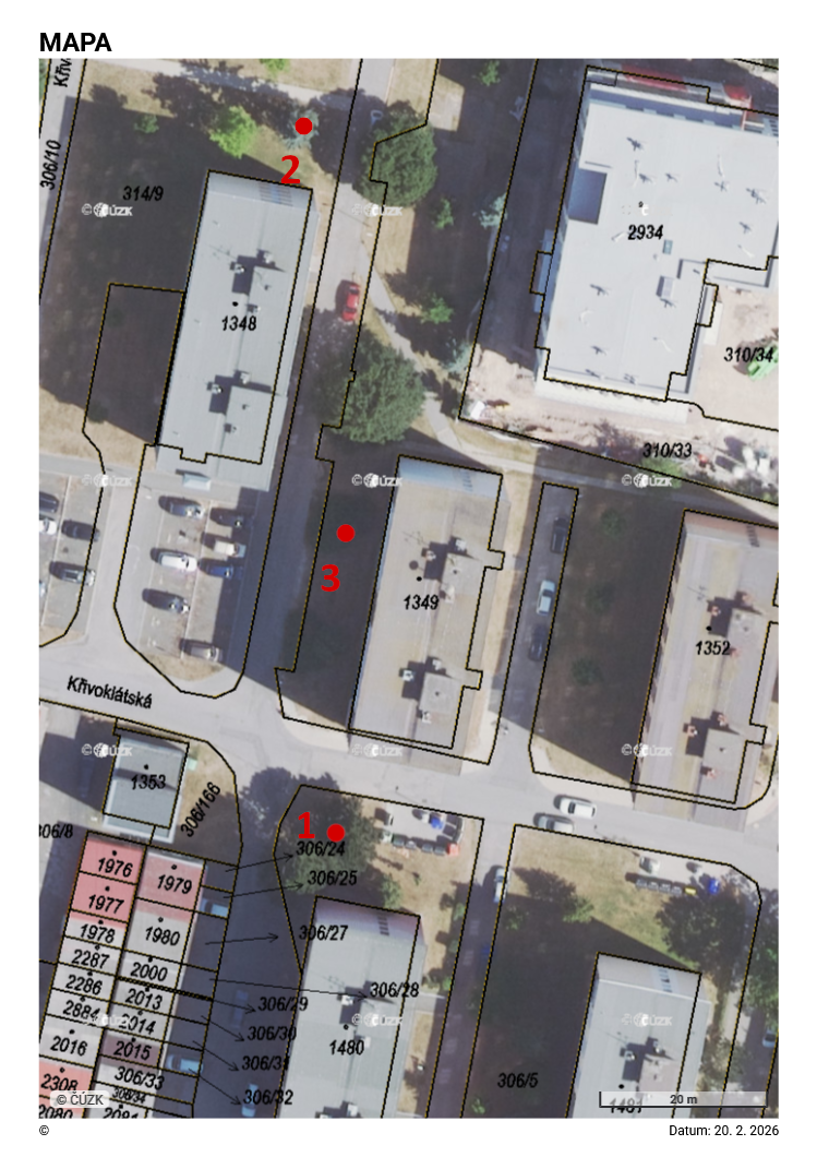
Informujeme, že v tomto období vegetačního klidu budou z důvodu realizace II. etapy rekonstrukce topných kanálů v Křivoklátském sídlišti pokáceny tři stromy. Borovice černá na pozemku č. 306/5 u domu č. p. 928, 929, smrk pichlavý na pozemku č. 314/9 u domu č. p. 881, 882 a cypřišek Lawsonův na pozemku č. 314/5 u domu č. p. 883, 884 (viz zákres na mapě). Náhradní výsadba za tyto stromy bude realizována po rekonstrukci kanálů ve vhodné vzdálenosti od tras sítí a bytových domů.

Zákres v mapě Typ: PNG obrázek, Velikost: 949.83 kB

Přílohy

situace.png

situace.png
Typ souboru: PNG obrázek, Velikost: 949,83 kB
Datum vložení: 9. 3. 2026 10:18
Datum poslední aktualizace: 21. 4. 2026 11:16
Autor: Správce Webu
column-foto

Zahraniční partnerství

partner-crest
Markt Welden, DE
partner-foto